Nov 27 to Dec 2
As usual, it was a a challenge to find time to sort photos once I returned home to my normal life, so it’s taken a while to select a few from the hundreds I took with a waterproof camera on my recent Caribbean trip. I never missed an opportunity to go snorkeling; I love watching life beneath the surface. As I bobbed, I tried to steady my camera and take pictures of moving fishes, most turned out blurry. Twice I donned a BCD, buoyancy compensator device, a vest which keeps a tank of air firmly attached to my back, and I descended fifty feet to the sea floor, once to a sunken tug boat and once to a beautiful coral garden, where I was mesmerized by the sea life.
- Getting ready to snorkel
- Snorkel gear
- Beneath the surface
- Striped fish in front of well disguised Frog Fish, spotted by Harley
- This one reminds me of the freshwater Discus fish I used to have in a tank at home
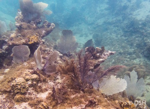
- Sea Plume and Sea Fans
- I frequently saw these Sergeant Majors, but they were usually moving too quickly to photograph
- Sea Whip (?)
- Anemone
- Mark, descending for our first dive
- This turtle was busy eating
- This one hung out above ship (it had a growth on it’s head)
- A sunken tugboat
- There were many fish in and around the boat, which we swam through
- Colorful coral
- Blue-Striped Grunts
- A school of fish
- Some sort of Parrotfish
- French Angelfish (?)
- Returning from a late afternoon snorkle
- Second dive
- Fish in Barrel Sponge
- An underwater garden
- Interesting sealife
- I never knew sponges grew in such fascinating shapes
- Underwater Cactus (just kidding)
- Back to the boat



























